北海道で余生を過ごすチャンプの近況
×
[PR]上記の広告は3ヶ月以上新規記事投稿のないブログに表示されています。新しい記事を書く事で広告が消えます。
秋田から履いて来た蹄鉄を脱ぐ日がやってきました
(なんか寂しい)
チャンプが鉄を脱ぐのって何年ぶりなんだろう!?
骨折とかの治療中や現役引退直後は少しの間鉄を履かない日々はあっても
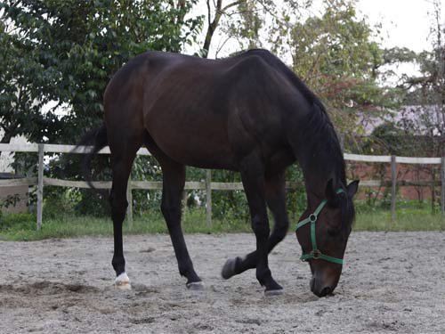
裸足で外を歩くのは1歳以来!?
うちに来てくれている装蹄師さんはパークでずっとチャンプの装蹄を担当していたSさん。
懐かしそうにチャンプを眺めて
「パーク退厩してもう10年くらい経った?」
いやややや
まだ5年ですよ
現役を引退して11年ですから〜
えっこいしょと左前脚を抱えると、途端にモジモジ始めるチャンプ
狙ってる…
Sさんの尻を狙ってる
でも今日は、Sさんの尻の向こうにあるルーサン(牧草)盗み食いで我慢
それを見て「変わってねぇなぁ」と苦笑い。
パーク時代も1番最初の脚を持ち上げた瞬間、尻にアタックしてくる癖があったそうです
あ、削蹄中の写真はありません。
なぜなら、尻にアタックしようとするチャンプを抑えるのに必死だったから

大きさが全部違う蹄鉄。これが脚元が丈夫じゃなかった原因でもあるのかな。

爪もだいぶ切ってもらいました
久しぶりの裸足で土の上を歩くと痛がる馬もいるので、長めに調整。

どう?ちょっとスッキリした?
でも掘るのが趣味だからすぐ前だけ削れちゃうだろうな

チャンプが鉄を脱ぐのって何年ぶりなんだろう!?
骨折とかの治療中や現役引退直後は少しの間鉄を履かない日々はあっても
裸足で外を歩くのは1歳以来!?

うちに来てくれている装蹄師さんはパークでずっとチャンプの装蹄を担当していたSさん。
懐かしそうにチャンプを眺めて
「パーク退厩してもう10年くらい経った?」
いやややや
まだ5年ですよ

現役を引退して11年ですから〜
えっこいしょと左前脚を抱えると、途端にモジモジ始めるチャンプ

狙ってる…
Sさんの尻を狙ってる

でも今日は、Sさんの尻の向こうにあるルーサン(牧草)盗み食いで我慢

それを見て「変わってねぇなぁ」と苦笑い。
パーク時代も1番最初の脚を持ち上げた瞬間、尻にアタックしてくる癖があったそうです

あ、削蹄中の写真はありません。
なぜなら、尻にアタックしようとするチャンプを抑えるのに必死だったから

大きさが全部違う蹄鉄。これが脚元が丈夫じゃなかった原因でもあるのかな。
爪もだいぶ切ってもらいました

久しぶりの裸足で土の上を歩くと痛がる馬もいるので、長めに調整。
どう?ちょっとスッキリした?
でも掘るのが趣味だからすぐ前だけ削れちゃうだろうな

放牧2日目、朝から張り切ってみんなを呼ぶチャンプですが、
みんなもう飽きちゃったようで、誰も応えてくれません


仕方ないので、朝からウトウト二度寝

お昼過ぎには気まぐれアクトレスがからかいにやって来ました
チャンプのこと、アテ馬と勘違いしてる節が
それでもオカマのチャンプにはなんのこっちゃわかりません。
チャンプが凛ちゃんにそうしたように、
こう見えてどっちかが先に帰るとお互い呼び合うようになりました。
放牧地でも、時々「ちゃんといるかな?」って相手を確認しています
さて夕方、チャンプお楽しみの時間です∩(´∀`)∩
放牧地を開放して、さぁ!走れ〜〜〜


その間に飼い葉作って…
あれ!?

気配を感じて見てみたら、もう馬栓棒のところでゆらゆら揺れてるチャンプの姿
もういいの?
今日は走らないの??
青草食べたりゴロゴロしたりしてもいいんだよ???
お腹が空いたのか一人で寂しいのか、ずっと馬栓棒のところで待っていました
なので、チャンプが爆走する昨日の動画はレア動画になりそうです
みんなもう飽きちゃったようで、誰も応えてくれません

仕方ないので、朝からウトウト二度寝

お昼過ぎには気まぐれアクトレスがからかいにやって来ました

チャンプのこと、アテ馬と勘違いしてる節が

それでもオカマのチャンプにはなんのこっちゃわかりません。
チャンプが凛ちゃんにそうしたように、
こう見えてどっちかが先に帰るとお互い呼び合うようになりました。
放牧地でも、時々「ちゃんといるかな?」って相手を確認しています

さて夕方、チャンプお楽しみの時間です∩(´∀`)∩
放牧地を開放して、さぁ!走れ〜〜〜



その間に飼い葉作って…
あれ!?
気配を感じて見てみたら、もう馬栓棒のところでゆらゆら揺れてるチャンプの姿

もういいの?
今日は走らないの??
青草食べたりゴロゴロしたりしてもいいんだよ???
お腹が空いたのか一人で寂しいのか、ずっと馬栓棒のところで待っていました

なので、チャンプが爆走する昨日の動画はレア動画になりそうです

1日ゆっくり休んで、今日から放牧です
初めての場所、初めての道のり(すぐそこだけど)
チャンプに周囲を見せながらゆっくり歩いて行くと…
芝の上に乗った瞬間、もう草を食べようとする
ダメーまだー
目前にパドックが見えたら、進んでさっさと入って行きました
パークの初期時代に入ってたパドックと同じだから覚えてたのかな

↑2002年パークでのチャンプ
周りは繁殖牧場。見知らぬ馬の登場に遠くの女の子たちが一斉に騒ぎ出しました
どうしていいかわからず、ひたすらオロオロするチャンプ

「なんか怖い、どうしよう…」
すでに涙目のチャンプに追い打ちをかけるアクトレス登場!
挑発するかのように周りを走りまくります
小1時間経過

ずいぶん掘ったな〜〜
もう飽きて遠くへ行ってしまったアクトレス。
チャンプはそれを眺めながら左右に揺れております…
お昼頃には全員落ち着いて、チャンプも草を食んでいました。
時折、思い出したかのように鳴き、揺れ、また草を食むの繰り返し

夕方、集牧の時間。
アクトレスが先に帰ってしまうと寂しくなったのか、また叫びはじめる。
「おいてかないでー」

本日の成果
1日でこんなにしちゃったの
食べる草なくなって自分が困るんだよ〜
この後、アクトレスの放牧地に放してみました。
秋田でも広い馬場を開放してもらって放牧に出てたチャンプ。
それでも草食べてゴロゴロして「もう満足」だったから
自主的に走るとかあんましなさそう…
と思いきや!!
走る走る、ちょーーーー走る!!
チャンプ爆走(・oノ)ノ
キャンターから入ってギャロップで戻って来る
こんなに走れたのかーー
ところで、これ…帰って来るのかな?と眺めていたら、厩舎からアクトレスが
「オマエ人の放牧地で何してるーかえってこーーい
」と一喝。
15分ほど爆走して納得したのか、すごすごと帰ってきましたとさ
毎日乗り運動を欠かしていなかったから、移動して運動させないと体が鈍るかな?
って考えていたけど
かなりヘトヘトの様子。これなら運動させなくてもいいかも?

初めての場所、初めての道のり(すぐそこだけど)
チャンプに周囲を見せながらゆっくり歩いて行くと…
芝の上に乗った瞬間、もう草を食べようとする

ダメーまだー
目前にパドックが見えたら、進んでさっさと入って行きました

パークの初期時代に入ってたパドックと同じだから覚えてたのかな

↑2002年パークでのチャンプ
周りは繁殖牧場。見知らぬ馬の登場に遠くの女の子たちが一斉に騒ぎ出しました

どうしていいかわからず、ひたすらオロオロするチャンプ

「なんか怖い、どうしよう…」
すでに涙目のチャンプに追い打ちをかけるアクトレス登場!
挑発するかのように周りを走りまくります



ずいぶん掘ったな〜〜

もう飽きて遠くへ行ってしまったアクトレス。
チャンプはそれを眺めながら左右に揺れております…
お昼頃には全員落ち着いて、チャンプも草を食んでいました。
時折、思い出したかのように鳴き、揺れ、また草を食むの繰り返し

夕方、集牧の時間。
アクトレスが先に帰ってしまうと寂しくなったのか、また叫びはじめる。
「おいてかないでー」


1日でこんなにしちゃったの

食べる草なくなって自分が困るんだよ〜
この後、アクトレスの放牧地に放してみました。
秋田でも広い馬場を開放してもらって放牧に出てたチャンプ。
それでも草食べてゴロゴロして「もう満足」だったから
自主的に走るとかあんましなさそう…
と思いきや!!
走る走る、ちょーーーー走る!!
チャンプ爆走(・oノ)ノ
キャンターから入ってギャロップで戻って来る

こんなに走れたのかーー
ところで、これ…帰って来るのかな?と眺めていたら、厩舎からアクトレスが
「オマエ人の放牧地で何してるーかえってこーーい

15分ほど爆走して納得したのか、すごすごと帰ってきましたとさ

毎日乗り運動を欠かしていなかったから、移動して運動させないと体が鈍るかな?
って考えていたけど
かなりヘトヘトの様子。これなら運動させなくてもいいかも?
夕方、アクトレスが放牧から戻ってくると
いよいよ当歳時の離乳以来19年振りの親子対面です!!
しかし、アクトレスったらチャンプの馬房前を早足で通り過ぎ
チラ見すらしない
「絶対見ないわよ」
なんて頑固な母…
チャンプは一生懸命呼びます
「誰ー?誰ー??誰えぇぇぇ??嗅がしてーーーー」
馬房に戻って少し落ち着いた頃、アクトレスがチャンプの要望に応える形で
鼻面を合わせ、お互いの確認がはじまりました。
頑固なアクトレス、自分で「馬が合わない」と判断すると2回目の嗅ぎ合いには絶対応じないそうなのですが、
2回目は自ら嗅ぎに行ってる
何度も何度もお互いを確認して、そのたびにキョトーン。
「???なんだか知ってるような、知らないような???」
チャンプはママが大好きだったよね。
アクトレスも初仔のチャンプを宝物のように大事にしてたんだよね。
鼻面合わせただけでも齧りに行ったり蹴ろうとしたりする場合があるけど、
ふたりともそんな素振りを見せず、不思議な間と空気
親子とはわからないかも知れないけど、
ひとまず第一関門クリアです
いよいよ当歳時の離乳以来19年振りの親子対面です!!
しかし、アクトレスったらチャンプの馬房前を早足で通り過ぎ
チラ見すらしない

「絶対見ないわよ」
なんて頑固な母…

チャンプは一生懸命呼びます
「誰ー?誰ー??誰えぇぇぇ??嗅がしてーーーー」
馬房に戻って少し落ち着いた頃、アクトレスがチャンプの要望に応える形で
鼻面を合わせ、お互いの確認がはじまりました。
頑固なアクトレス、自分で「馬が合わない」と判断すると2回目の嗅ぎ合いには絶対応じないそうなのですが、
2回目は自ら嗅ぎに行ってる

何度も何度もお互いを確認して、そのたびにキョトーン。
「???なんだか知ってるような、知らないような???」
チャンプはママが大好きだったよね。
アクトレスも初仔のチャンプを宝物のように大事にしてたんだよね。
鼻面合わせただけでも齧りに行ったり蹴ろうとしたりする場合があるけど、
ふたりともそんな素振りを見せず、不思議な間と空気

親子とはわからないかも知れないけど、
ひとまず第一関門クリアです

28日
07:00
車の中に留まり、フェリーに乗ってる間中馬を監視している運転手さん。
今回の運転手さんは、チャンプが現役の頃
山元トレセンや牧場に乗せて行ったことがあるんだって
「もう19歳なんだって?変わってないよ、若いな〜」
「昔は馬運車に乗せるとウルサイ馬だったんだけど、大人しいね」
なんて貴重な話を聞かせていただきました
朝、運転手さんに「チャンプどんな案配でした?」と訊ねると
「夜中じゅう前掻きして、嘶いて、うるさくて眠れなかったよ」
w( ̄Д ̄;)w
チャンプはやっぱり“五月蝿い”ままのようです
07:30
フェリーから出て北海道上陸!
車が動き出すまで左右に揺れていたチャンプの動きが止まる。
↓モニターにご注目
一般道に出ると、再びギャーギャー叫び合いが始まりました
08:30

苫小牧でフェリーを降りて1時間。
報せを受けてチャンプに携わっていた人たちが集まる盛大なお迎えで
新天地に降り立ちました

馬房に通されてホッと一息。
なぜか寝わらをむしゃむしゃ食べ始めた
なぜ!?普通の牧草あるでしょ!!

ぶひょ〜〜〜
慌てて食うからだ!

お昼頃、暇になったチャンプはお外を眺めてボー。
「あっ誰かいるー!あのヒトだれ?」
あなたのお母さんですよ。ちゃんとご機嫌とってね。
こうして、16時間の長旅は無事に幕を閉じました

車の中に留まり、フェリーに乗ってる間中馬を監視している運転手さん。
今回の運転手さんは、チャンプが現役の頃
山元トレセンや牧場に乗せて行ったことがあるんだって

「もう19歳なんだって?変わってないよ、若いな〜」
「昔は馬運車に乗せるとウルサイ馬だったんだけど、大人しいね」
なんて貴重な話を聞かせていただきました

朝、運転手さんに「チャンプどんな案配でした?」と訊ねると
「夜中じゅう前掻きして、嘶いて、うるさくて眠れなかったよ」
w( ̄Д ̄;)w
チャンプはやっぱり“五月蝿い”ままのようです


フェリーから出て北海道上陸!
車が動き出すまで左右に揺れていたチャンプの動きが止まる。
↓モニターにご注目
一般道に出ると、再びギャーギャー叫び合いが始まりました


苫小牧でフェリーを降りて1時間。
報せを受けてチャンプに携わっていた人たちが集まる盛大なお迎えで
新天地に降り立ちました

馬房に通されてホッと一息。
なぜか寝わらをむしゃむしゃ食べ始めた

なぜ!?普通の牧草あるでしょ!!
ぶひょ〜〜〜
慌てて食うからだ!
お昼頃、暇になったチャンプはお外を眺めてボー。
「あっ誰かいるー!あのヒトだれ?」
あなたのお母さんですよ。ちゃんとご機嫌とってね。
こうして、16時間の長旅は無事に幕を閉じました

27日
15:30
とうとう秋田を離れる日が来てしまいました。
チャンプは最後の放牧中…

掘ってる掘ってる…まさか…

いよっこい

しょっと
ってちょっとー!せっかく里佳さんがピカピカに磨き上げてくれた体を

ごろ〜ん

いよっと
首の力つえー

ふぅ。

ふんがっ



ぶるぶるぶるぶるっっ
あぁ…砂だらけ
動画はこちら
つまり、2回やった
16:00
その後青草を食べ、ブラブラしているところに里佳さんが呼びに来ました。
さぁチャンプ〜そろそろ出発の準備す・・・ゲッ

「・・・さっ!帰ろう」
寂しさを振り払うようにチャンプを促す。
チャンプも「あ、帰るの?ハ〜イ」と素直に従います

もう一度手入れのやり直し
最後まで手のかかる息子さんです。

馬房内のメッセージボードにはこの日留守だった水平さんからのメッセージが。
チャンプ、たくさん可愛がってもらったんだもんね。
幸せだね。
16:30
出発の時刻になり、馬運車にエンジンがかかりました。
すると、それまでぼや〜としてたチャンプ豹変!!
自分が乗せられることに気づくと、わーわーわーわー大騒ぎ

お外に出てちょっと観念した感じ。
これから長旅が始まるんだよ!凛ちゃんいなくて寂しいけど頑張れ

イヤイヤながら馬運車に乗り込みました。
16:40

出発。
5年間過ごした厩舎、練習用の馬場、見慣れた風景とお別れ…
17:50

20分遅れ
で盛岡ICに到着。
馬匹の馬運車にお乗り換えです。
すでに千葉からご乗車のお友達と豪華2頭積み。寂しくないね。

しか〜し
デッカイ馬運車を見た瞬間、嘶いて大騒ぎして乗車拒否!!
「この車見覚えある〜僕は競馬場へ連れて行かれるの!?」
総動員で尻を押し、馬運車に乗せられて行きました
ここで里佳さんと馬運車を運転してくれた旦那さん、
追っかけチーム
ma-miさん、ayuさんともお別れです。
ぶわってなる感情を抑えながら、笑顔で、慌ただしく私も馬運車に乗り込みました。
17:50
馬運車は盛岡ICを出て八戸のフェリー埠頭へひた走る
最初はガッカリしてたチャンプも、そのうち前に乗ってる子とふたりで嘶き合戦
いつも厩舎でしているように、左右にぶらぶら揺れ始めた
車動いてるのに…器用ね。

途中のSAでお水と牧草をもらいました
お水でバシャバシャして遊んだり、牧草をモゾモゾ食べ始めた。
20:40
八戸に到着!これから8時間の船旅です。

他にも2台、馬運車が乗りました。
見えないだろうけど、周りに馬いっぱいいるよ

「ん?」
すっかり普通のチャンプ。また明日の朝ね

とうとう秋田を離れる日が来てしまいました。
チャンプは最後の放牧中…
掘ってる掘ってる…まさか…
いよっこい
しょっと

ってちょっとー!せっかく里佳さんがピカピカに磨き上げてくれた体を

ごろ〜ん
いよっと
首の力つえー

ふぅ。
ふんがっ



ぶるぶるぶるぶるっっ
あぁ…砂だらけ

動画はこちら

つまり、2回やった


その後青草を食べ、ブラブラしているところに里佳さんが呼びに来ました。
さぁチャンプ〜そろそろ出発の準備す・・・ゲッ

「・・・さっ!帰ろう」
寂しさを振り払うようにチャンプを促す。
チャンプも「あ、帰るの?ハ〜イ」と素直に従います

もう一度手入れのやり直し

最後まで手のかかる息子さんです。
馬房内のメッセージボードにはこの日留守だった水平さんからのメッセージが。
チャンプ、たくさん可愛がってもらったんだもんね。
幸せだね。

出発の時刻になり、馬運車にエンジンがかかりました。
すると、それまでぼや〜としてたチャンプ豹変!!
自分が乗せられることに気づくと、わーわーわーわー大騒ぎ

お外に出てちょっと観念した感じ。
これから長旅が始まるんだよ!凛ちゃんいなくて寂しいけど頑張れ

イヤイヤながら馬運車に乗り込みました。

出発。
5年間過ごした厩舎、練習用の馬場、見慣れた風景とお別れ…


20分遅れ

馬匹の馬運車にお乗り換えです。
すでに千葉からご乗車のお友達と豪華2頭積み。寂しくないね。
しか〜し
デッカイ馬運車を見た瞬間、嘶いて大騒ぎして乗車拒否!!
「この車見覚えある〜僕は競馬場へ連れて行かれるの!?」
総動員で尻を押し、馬運車に乗せられて行きました

ここで里佳さんと馬運車を運転してくれた旦那さん、
追っかけチーム

ぶわってなる感情を抑えながら、笑顔で、慌ただしく私も馬運車に乗り込みました。

馬運車は盛岡ICを出て八戸のフェリー埠頭へひた走る

最初はガッカリしてたチャンプも、そのうち前に乗ってる子とふたりで嘶き合戦

いつも厩舎でしているように、左右にぶらぶら揺れ始めた

車動いてるのに…器用ね。
途中のSAでお水と牧草をもらいました

お水でバシャバシャして遊んだり、牧草をモゾモゾ食べ始めた。

八戸に到着!これから8時間の船旅です。
他にも2台、馬運車が乗りました。
見えないだろうけど、周りに馬いっぱいいるよ

「ん?」
すっかり普通のチャンプ。また明日の朝ね
